경북대자연사박물관 로그인
  • 소장표본
  • 열람/대여
  • 표본기증
  • 공지사항

통합검색

    • 표본 정보 검색
    • 열람/대여
    • 표본기증
    • 공지사항

표본 검색

  • [표본] 표본번호 : KNUB-10000535 표본유형 : 건조

    국명, 학명 : 흰줄뒷날개나방 Catocala lara, 1861
    채집지 : 경상북도 울릉군 울릉읍 도동리 산39 채집일 : 2020-08-29 채집자 : 최재원
    이전번호1 :
  • [표본] 표본번호 : KNUB-10000536 표본유형 : 건조

    국명, 학명 : 은빛밤나방 Chasminodes albonitens, 1861
    채집지 : 경상북도 울릉군 울릉읍 도동리 산39 채집일 : 2020-08-29 채집자 : 최재원
    이전번호1 :
  • [표본] 표본번호 : KNUB-10000537 표본유형 : 건조

    국명, 학명 : 목화명나방 Haritalodes derogata, 1775
    채집지 : 경상북도 울릉군 울릉읍 도동리 산39 채집일 : 2020-08-29 채집자 : 최재원
    이전번호1 :
  • [표본] 표본번호 : KNUB-10000538 표본유형 : 건조

    국명, 학명 : 능수버들머리매미충 Idiocerus (Bicenarus) ishiyamae, 1905
    채집지 : 경상북도 울릉군 울릉읍 도동리 산39 채집일 : 2020-08-29 채집자 : 최재원
    이전번호1 :
  • [표본] 표본번호 : KNUB-10000539 표본유형 : 건조

    국명, 학명 : 알락맥각시매미충 Drabescus nigrifemoratus, 1905
    채집지 : 경상북도 울릉군 울릉읍 도동리 산39 채집일 : 2020-08-29 채집자 : 최재원
    이전번호1 :
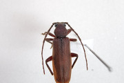
  • [표본] 표본번호 : KNUB-10000540 표본유형 : 건조

    국명, 학명 : 넓적하늘소 Cephalallus unicolor, 1906
    채집지 : 경상북도 울릉군 울릉읍 도동리 산39 채집일 : 2020-08-29 채집자 : 최재원
    이전번호1 :
  • [표본] 표본번호 : KNUB-10000541 표본유형 : 건조

    국명, 학명 : 배무늬콩알락파리 Rivellia cestoventris, 2001
    채집지 : 경상북도 울릉군 울릉읍 도동리 산39 채집일 : 2020-08-29 채집자 : 최재원
    이전번호1 :
  • [표본] 표본번호 : KNUB-10000542 표본유형 : 건조

    국명, 학명 : 톱다리개미허리노린재 Riptortus clavatus, 1783
    채집지 : 경상북도 울릉군 울릉읍 도동리 산39 채집일 : 2020-08-29 채집자 : 최재원
    이전번호1 :
  • [표본] 표본번호 : KNUB-10000543 표본유형 : 건조

    국명, 학명 : 산바퀴 Blattella nipponica, 1963
    채집지 : 경상북도 울릉군 울릉읍 도동리 산39 채집일 : 2020-08-29 채집자 : 최재원
    이전번호1 :
  • [표본] 표본번호 : KNUB-10000544 표본유형 : 건조

    국명, 학명 : 노랑무당벌레 Illeis (Illeis) koebelei koebelei, 1943
    채집지 : 경상북도 울릉군 울릉읍 도동리 산39 채집일 : 2020-08-29 채집자 : 최재원
    이전번호1 :
  • «
  • <
  • 411
  • 412
  • 413
  • 414
  • 415
  • 416
  • 417
  • 418
  • 419
  • 420
  • >
  • »
© Copyright 2022. 경북대학교 자연사박물관 표본관리시스템 All Rights Reserved.