경북대자연사박물관 로그인
  • 소장표본
  • 열람/대여
  • 표본기증
  • 공지사항

통합검색

    • 표본 정보 검색
    • 열람/대여
    • 표본기증
    • 공지사항

표본 검색

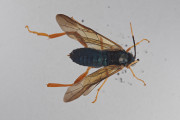
  • [표본] 표본번호 : KNUI-10000948 표본유형 : 건조

    국명, 학명 : 황띠배벌 Scolia oculata, 1911
    채집지 : 경상북도 상주시 가장동 채집일 : 2019-09-10 채집자 : 박종균
    이전번호1 : KNU-948
  • [표본] 표본번호 : KNUI-10000949 표본유형 : 건조

    국명, 학명 : 황띠배벌 Scolia oculata, 1911
    채집지 : 경상북도 경주시 보문동 채집일 : 2003-09-19 채집자 : 박종균
    이전번호1 : KNU-949
  • [표본] 표본번호 : KNUI-10000950 표본유형 : 건조

    국명, 학명 : 얼룩송곳벌 Tremex fuscicornis, 1787
    채집지 : 경상북도 상주시 가장동 채집일 : 2016-10-09 채집자 : 박종균
    이전번호1 : KNU-950
  • [표본] 표본번호 : KNUI-10000951 표본유형 : 건조

    국명, 학명 : 홍다리루리잎벌 Siobla zenaida, 1930
    채집지 : 경상북도 상주시 가장동 채집일 : 2018-04-24 채집자 : 박종균
    이전번호1 : KNU-951
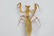
  • [표본] 표본번호 : KNUI-10000952 표본유형 : 건조

    국명, 학명 : 넓적배사마귀 Hierodula patellifera, 1839
    채집지 : 경상북도 상주시 무양동 채집일 : 2017-10-10 채집자 : 박종균
    이전번호1 : KNU-952
  • [표본] 표본번호 : KNUI-10000953 표본유형 : 건조

    국명, 학명 : 넓적배사마귀 Hierodula patellifera, 1839
    채집지 : 경상북도 상주시 가장동 채집일 : 2018-10-23 채집자 : 박종균
    이전번호1 : KNU-953
  • [표본] 표본번호 : KNUI-10000954 표본유형 : 건조

    국명, 학명 : 사마귀 Tenodera angustipennis, 1869
    채집지 : 경상북도 상주시 가장동 채집일 : 2018-09-04 채집자 : 박종균
    이전번호1 : KNU-954
  • [표본] 표본번호 : KNUI-10000955 표본유형 : 건조

    국명, 학명 : 사마귀 Tenodera angustipennis, 1869
    채집지 : 경상북도 상주시 가장동 채집일 : 2011-09-08 채집자 : 박종균
    이전번호1 : KNU-955
  • [표본] 표본번호 : KNUI-10000956 표본유형 : 건조

    국명, 학명 : 사마귀 Tenodera angustipennis, 1869
    채집지 : 경상북도 상주시 가장동 채집일 : 2014-05-05 채집자 : 박종균
    이전번호1 : KNU-956
  • [표본] 표본번호 : KNUI-10000957 표본유형 : 건조

    국명, 학명 : 왕사마귀 Tenodera sinensis, 1871
    채집지 : 경상북도 상주시 가장동 채집일 : 2014-09-18 채집자 : 박종균
    이전번호1 : KNU-957
  • «
  • <
  • 971
  • 972
  • 973
  • 974
  • 975
  • 976
  • 977
  • 978
  • 979
  • 980
  • >
  • »
© Copyright 2022. 경북대학교 자연사박물관 표본관리시스템 All Rights Reserved.